アオカミキリの仲間、今回採集はどうも2種ありそうだ。
土場にて採集
上とは別種だと思われる。
採集地は同じ
一番上の個体と同じ種類
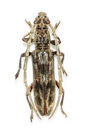
トゲヒゲヒメカミキリの仲間
ヒメカミキリの仲間
これもヒメミキリの仲間
キマダラヒメミヤマカミキリの仲間